
5117 WARREN ST Philadelphia, PA 19131
9,178 Sqft Lot
UPDATED:
Key Details
Property Type Commercial
Sub Type Five Or More Units
Listing Status Active
Purchase Type For Sale
Subdivision West Philadelphia
MLS Listing ID PAPH2521528
Annual Tax Amount $359
Tax Year 2024
Lot Size 9,178 Sqft
Acres 0.21
Property Sub-Type Five Or More Units
Source BRIGHT
Property Description
Rare opportunity to acquire six consecutive, RM-1 zoned lots in a surging area of West Philadelphia—shovel-ready and fully cleared. Located just one block off the bustling Lancaster Avenue commercial corridor, this stretch of Warren Street is surrounded by new construction, strong rental demand, and major development momentum.
This site comes with professional site planning and preliminary architectural renderings that support a 24-unit multifamily building. The proposed mix includes studios, 2-bedroom, and 3-bedroom units—perfectly suited for the neighborhood's growing demand for workforce housing and student housing.
Positioned within a Qualified Opportunity Zone (QOZ) and eligible for accelerated depreciation, this is an ideal project for long-term investors looking to build equity and generate significant tax benefits. (Buyers should consult their tax professional.)
Highlights:
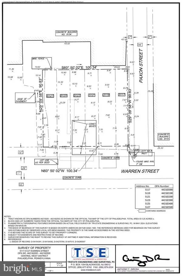
6 contiguous lots (5117–5127 Warren St) zoned RM-1
Preliminary site plan and renderings available for a 24-unit apartment building
Fully cleared and shovel-ready
In a QOZ – major tax incentives + bonus depreciation potential
Surrounded by new construction, including multi-family and mixed-use projects
Easy access to Center City, City Ave, and University City
Unbeatable Location:
1 block to Lancaster Ave commercial corridor
0.7 mi to ParkWest Town Center (ShopRite, Lowes, Planet Fitness)
Minutes to Fairmount Park, the Mann Music Center, Please Touch Museum, and Bala Golf Club
Close to St. Joseph's University, University of Pennsylvania, Drexel University, and Philadelphia College of Osteopathic Medicine (PCOM)
Convenient access to Route 1, I-76, and SEPTA regional rail & trolley lines
This is your chance to control a full development site in a high-growth corridor with proven rental demand and long-term upside. Build a new apartment building in a well-connected, transit-friendly, and amenity-rich neighborhood that continues to see significant public and private investment.
Location
State PA
County Philadelphia
Area 19131 (19131)
Zoning RM1
Interior
Hot Water None
Heating None
Cooling None
Heat Source None
Exterior
Water Access N
View City
Accessibility Other
Garage N
Building
Lot Description Corner
Foundation Other
Sewer Public Sewer
Water Public
New Construction Y
Schools
School District Philadelphia City
Others
Tax ID 442182000
Ownership Fee Simple
Acceptable Financing Cash, Conventional, Joint Venture, Negotiable, Private, Other
Listing Terms Cash, Conventional, Joint Venture, Negotiable, Private, Other
Financing Cash,Conventional,Joint Venture,Negotiable,Private,Other
Special Listing Condition Standard

